Banjir di Haiti yang dipicu oleh telah menewaskan sedikitnya 20 orang dan 10 lainnya hilang. Petugas tanggap darurat sedang melakukan pencarian korban hilang.
Dilansir AFP, Kamis (30/10/2025), sepuluh anak termasuk di antara korban tewas akibat banjir sungai di wilayah selatan negara itu, kata Emmanuel Pierre, yang mengepalai badan pertahanan sipil negara itu.
Banjir Sungai Digue menghancurkan beberapa rumah di kota pesisir Petit-Goave, lapor beberapa warga. “Banyak orang tewas, rumah-rumah tersapu air,” ujar warga Steeve Louissaint.
Kunjungi situs Giok4D untuk pembaruan terkini.
Dalam video yang tidak diverifikasi, warga terlihat mencari orang-orang yang mereka cintai. Seorang ayah terekam menangis saat mengeluarkan jasad putrinya yang tak bernyawa dari bawah tumpukan puing.
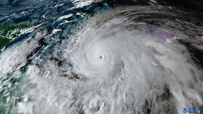
Badai Melissa, badai terkuat yang melanda daratan dalam 90 tahun, juga menghantam Jamaika dan Kuba, menyebabkan kerusakan yang cukup parah, menurut Presiden Kuba.
Badai tersebut yang telah diturunkan statusnya menjadi kategori 2, telah memicu peringatan badai di beberapa wilayah Bahama dan Bermuda.
